$199,000

FOR SALE

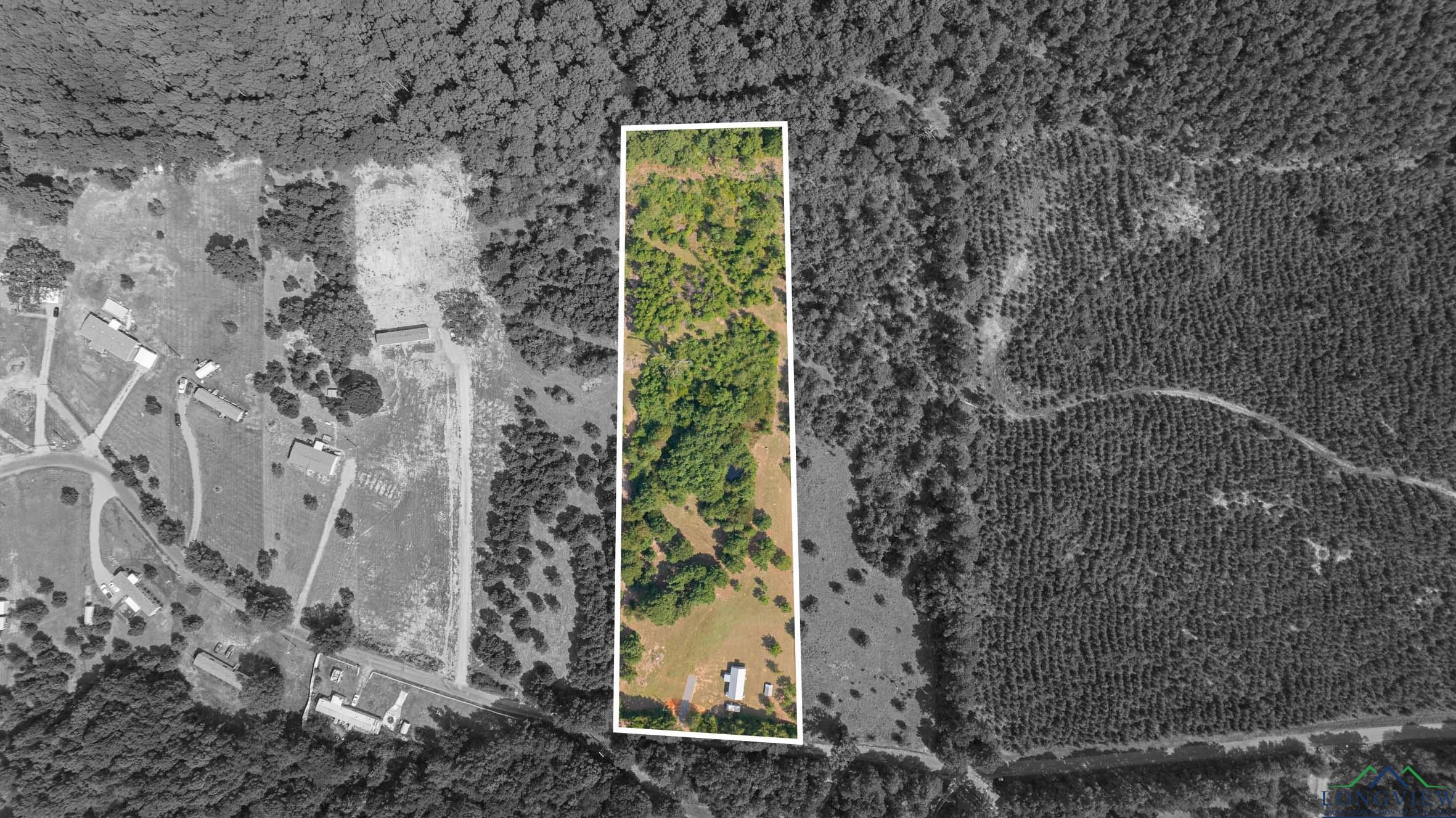
454 Law Rd

Harleton, Tx, 75651

MLS #20256360

Subdivision: -

Building: -

1 Beds

1/1 Baths

800 sqft

$ 248.75 /sqft

Property Details

Nestled on 4 peaceful acres, this charming 800 sq. ft. home is the perfect blend of cozy living and wide-open space. The one-bedroom, 1.5 bath layout features an inviting open-concept living room and kitchen. While the home offers comfort and efficiency inside, the true highlight is the land. Plenty of room to roam, explore, and enjoy outdoor activities, with ample space for hunting right out your back door. Whether youre seeking a quiet retreat or a weekend getaway, this property offers endless possibilities.

Property Features

-

Property Type
Single Family
HOA Fee/Monthly
-
HOPA
-
Membership Fees
-
Appliances
Gas Range/Oven,Microwave
Restrictions
-
Furnished
-
Flooring
-
No. of Floor
-
Terms Considered
-
Year Built
2024
Cooling
Window Units
Pets Allowed
-
Amenities
-
Interior
Vinyl Flooring,Ceiling Fan
Maintenance Fee Includes
-
Governing Bodies
-
Construction
Wood/Frame
Security
-
Heating
Wall Heat
Garage/Carport
0
Dining Area
-
Exterior
-
Pet Restrictions
No
Parking
-
Application Fee
-
Water Access
Aerobic Septic System
Pool
No
Gated Community
No
Status
A
Listing Office
Ramsey Realty Group

Related Properties

Loading related properties, please wait...

The data relating to real estate for sale on this web site comes in part from various real estate boards and MLSs across the United States.

Information is deemed reliable but not guaranteed. Copyright, all rights reserved. The information being provided is for consumers' personal, non-commercial use and may not be used for any purpose other than to identify prospective properties consumers may be interested in purchasing. Use of search facilities of data on the site, other than a consumer looking to purchase real estate, is prohibited.

Listing Courtesy of: Ramsey Realty Group